台风桦加沙 | 为什么成为“风王”?中央气象台专家解构几大关键原因

发布时间:2025-09-22 18:43作者:梁景琴

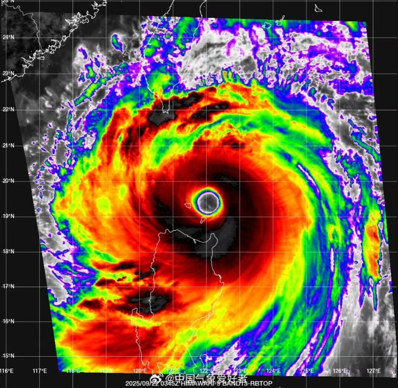
今年第18号超强台风“桦加沙”正趋向华南沿海,预计将带来严重风雨影响。其极端强度形成得益于菲律宾以东暖洋面高海温、充沛水汽输送及较弱垂直风切变等多重条件叠加。与2018年“山竹”类似,“桦加沙”可能造成广泛破坏。

点解成为“风王”?

秋季台风活动仍活跃,因副热带高压南移及海洋能量仍高,秋台风往往强度更强、登陆地点偏南,且易与冷空气结合扩大风雨范围。专家建议沿海地区严防强风、暴雨及次生灾害,公众应避免前往高风险区域并关注最新预警。

新华社今天(22日)发布文章,分析台风“桦加沙”为何能达到如此强度。

西北太平洋的“风王”如何形成?

据中央气象台预报,“桦加沙”将于明天(23日)凌晨进入南海东北部海面。中央气象台今天(22日)继续发布台风黄色预警,中国气象局启动重大气象灾害(台风)二级应急响应。

中央气象台首席预报员王皘解释“桦加沙”具有风圈范围广、强度强等特点,其极端强度的形成由多种条件叠加导致。“桦加沙”于18日夜间在菲律宾以东的暖洋面生成,这个区域海温超过29℃,暖水层深厚,如同台风的“能量库”,为其持续增强提供源源不断的能量。同时热带辐合带内西南季风与偏东气流交汇,水汽输送充沛,大气层结不稳定,也非常利于台风对流持续发展。此外,台风途经区域垂直风切变较弱,台风暖心结构维持,进一步助推其迅猛增强。

“桦加沙”与2018年第22号台风“山竹”在规模和移动路径上较为相似。“山竹”曾带来长时间大风、大范围强降雨,对粤港澳琼多地海陆空交通造成严重影响。专家提示,各地应提前部署防御,最大限度减轻灾害影响。

为何直到秋天台风仍频繁出现?

近期,接连有台风影响中国。气象部门预计,未来一段时间台风或热带低压仍比较活跃。

事实上,台风并非夏季“特产”,一年四季都会有台风生成。登陆中国的台风最早在4月,最晚则在12月,其中7月至9月是生成台风个数最多、也是台风登陆最频繁的月份。在气象学上,9月至11月生成的台风被称为“秋台风”。

从常年平均(1991年至2020年)看,秋台风每年生成10.7个,其中有2.33个登陆我国。秋台风从生成数量上与夏台风基本持平,但登陆数量明显偏少。

与夏台风相比,秋台风平均强度更强。在1949年至2023年登陆我国的秋台风中,34.88%为台风级别,17.95%为强台风级别,4.10%为超强台风级别。2024年第11号台风“摩羯”是有气象记录以来秋季登陆我国的最强台风(17级,62米每秒),其在超强台风级别维持时间长达64小时。

秋台风平均强度更强

同时,秋台风登陆我国的地点普遍偏南。进入秋季以后,影响热带气旋路径的副热带高压开始东退南移,位置逐渐偏南。因此,秋台风最常见的登陆地为广东省、海南省、台湾省和福建省。

此外,秋台风影响期间经常有冷空气参与其中,造成的风雨影响范围会更大。受“桦加沙”影响,预计23日至26日台湾海峡、南海北部海域、华南沿海将出现强风雨天气。王皘表示,除直接风雨影响外,台风外围水汽将会向北输送,江淮、江南等地可能出现远距离暴雨。

气象专家建议,受影响地区要严格落实防风措施,船舶及时回港避风,海上作业平台人员务必撤离;海洋牧场及养殖设施及时采取加固措施,合理控制养殖密度,以减少损失。沿海地区需重点防范暴雨引发的城乡内涝、桥涵积水和交通中断,山区要高度警惕山洪、山泥倾泻、泥石流等次生灾害。

以上内容归星岛新闻集团所有,未经许可不得擅自转载引用。


编辑︱梁景琴